~
Written by Michael Britton
Before the advent of the Industrial Revolution the occupants of most small agricultural villages, such as Finedon, would have, in the main, either worked on the land or in so-called “cottage-industries” from home.
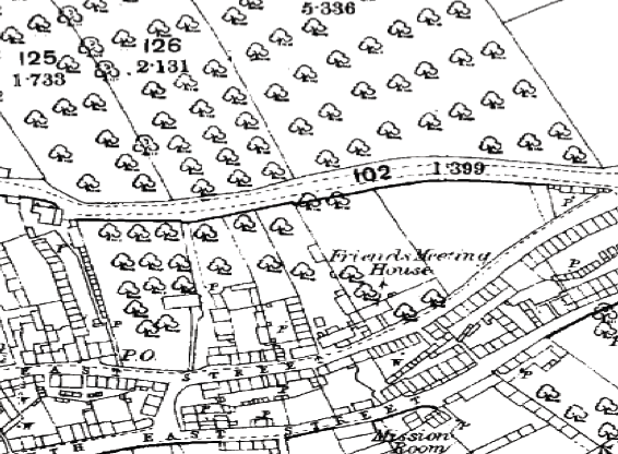
Maps from the period show that Finedon had considerable orchards around the village, particularly in the area to the north, what is unsurprisingly known today as Orchard Road.

In order to make a dried apple, it must be cooked very slowly for around five hours over a constant low heat. Finedon was fortunate in that, at the time it had a number of bakers and bake houses. The combination of these two factors, bakers and orchards, gave rise to the local industry of producing Finedon Dried Apples. This enterprise existed from the early part of the 18th century until it gradually ebbed away in the middle of the 19th century.
The best type of apple for producing dried apples was the Norfolk Biffin. This apple is also referred to as the Norfolk Beefing or Norfolk Beaufin. Norfolk Biffins, or Beefings, are round, slightly flat, apples about three inches across and two and a half inches high (about seven by six centimetres). The skin is yellow-green, but with brown-purple and dark red streaks. Inside, the flesh has a green tint, is crisp, and is said to have a hint of the flavour of cinnamon. The apples store well, getting sweeter with keeping, and are good for cooking and drying. By March of the year after harvesting, they are sweet enough to use as dessert apples. With keeping, they turn a deeper brown or maroon colour, with harder, more solid flesh. They were also used for cider making. The trees are vigorous, with heavy crops of fruit. Some thinning is necessary in good years.
One source refers to the definition of a “biffin” as a “baked apple flattened in the form of a cake”. Produced in this style, the apples could then be kept for months and would be consumed as a “treat” or a “dessert”. Additionally, being a preserved fruit, they could then also be packaged and transported across the county and countrywide.
The Norfolk Biffin was a very popular apple in the early Victorian period and a positive reference can be found in Charles Dickens “Christmas Carol” (published in December 1843) when describing the beautiful shop displays in the lead-up to Christmas.
“There were pears and apples, clustered high in blooming pyramids; there were bunches of grapes, made in the benevolence to from conspicuous hooks, that people’s mouths might water gratis as they passed; there were Norfolk Biffins, squat and swarthy, setting off the yellow of oranges and lemons, and in the great compactness of their juicy persons, urgently entreating and beseeching to be carried home in paper bags and eaten after dinner”.
Dickens also favourably referred to the Norfolk Biffin in “Martin Chuzzlewit” (1843) and “Dombey and Son” (1848). In a lesser known book, “Boots at the Holly Tree Inn” written in 1858 Dickens writes,
“Cobbs, do you think you could bring a biffin, please? I think a Norfolk biffin would rouse her, Cobbs. She is very fond of them”.
Sadly, the popularity of the Norfolk Biffin apple died out in the late Victorian period and they are now rarely seen in orchards or harvested for commercial purposes. However, to celebrate the dried apple industry and its past historic links with Finedon three Norfolk Biffin trees were planted as part of a project: one in grounds of the Parish Church and one at the Friends’ Meeting House. The third tree was planted in the grounds of Finedon Infants School that has its own link to the past heritage of Finedon with its apple tree logo.
Elements of the history of the sale of Finedon’s Dried Apples can been collated from advertisements of the period that appeared in the Northampton Mercury newspaper.
The earliest known newspaper article relating to Finedon Dried Apples can be found in the Northampton Mercury of Monday 23rd July 1770. As a footnote to the advertisement of Thomas Smith “Cyder-maker of Finedon” it states,
“Gentlemen, etc. may be furnished with Dry’d Apples at the same time”.
This is followed by another Northampton Mercury advertisement of 23rd March 1773.

In the above advertisement of 22nd March 1773 Thomas Smith now appears to have broadened his range of products by making “excellent fine Dryed APPLES” now an equal feature of his advertisement alongside his “Bottled Cyder” and “at the Seasons of the Year “APPLES and PEARS of all kinds”.
It is interesting to note that that the advertisement states that, “Thomas Smith has dealt in the above Articles for nearly forty Years past.” Should that be the case then dried apples could well have been produced in Finedon from the early 1730s.
The language in these advertisements of the time is very formal, “Likewise the Nobility, Gentry and others…” coupled with “…most and obedient, humble Servant.”
By the year 1808 dried apples are being sold by other retailers in the county acting as agents of the Finedon dried apple producers. The Northampton Mercury of Saturday 27th February 1808 carries this advertisement.

J. Abel regularly advertises in the newspaper during the autumn as the agent of a Finedon dried apple supplier, however, at no time is the supplier identified. At all times the supplier is referred to as “the Person who prepares them at Finedon”.
In the 14th November 1812 edition of the Northampton Mercury a postscript is added to the J Abel’s advertisement stating that, “…boxes are priced at 20 shillings (£1) each, and if persons enclose a £1 note then the box can be sent by coach or wagon to any part of the kingdom”.
The Northampton Mercury 4th March 1815 saw J. Abel still acting as agent, however the advertisement now includes prices and quantities, “In boxes of various sizes from 4s (shillings) to 25s. each; or by a single Pound”. From the archives of the Northampton Mercury J. Abel was selling Finedon Dried Apples up to December 1823.
J. Abel has also been found to advertise in The Times newspaper. This shows that Finedon Dried Apples were being promoted and advertised at a national level to customers of “higher standing” than would be expected in a county newspaper!
During the same period of time other retailers in Northampton were selling dried apples. William Emery of the Drapery, Northampton did state they were of his own preparation of Norfolk Biffins of a, “very superior flavour” but, unfortunately, no indication of their source is given. He was producing dried apples through the 1820’s and on until at least 1840.
J. Abel was not the only person known to have acted as an agent for the sale of Finedon dried apples. The Northampton Mercury of Christmas Day 1819 records J. Simco of Towcester was selling “GENUINE FINEDON DRIED APPLES”.

In the October 1829 editions of the Northampton Mercury two Finedon producers and suppliers of dried apples are vying for custom.
In the 10th of October edition Mrs Frances Barker (widow of Mr Barker) advising the customers of her late husband that she is still able to supply them with fine flavoured apples at one shilling per pound.

This is quickly followed on the 23rd of October by William Butlin. It is interesting to note that William Butlin too, as J. Able, states that his products can be, “conveyed to all Parts of the Kingdom.” Another example of the saleable commodity of Finedon dried apples and the lengths that would be needed to be taken to transport them across the country.

In the Northampton Mercury of 15th January 1831, George Pettifer advised his customers of all his goods, including Finedon dried apples, “that he was removing from George’s Row to The Drapery Northampton”. George is still advertising Finedon Dried Apples in December of the same year.
Francis Barker, now the widow of Mr Barker, remarries and continues to trade in the production and sale of Finedon dried apples when she advertises during the autumn of 1833.

William Butlin also advertises his dried apples in the same year but his advertisement is a repeat, almost word for word, of his elegant, pretentious and formal notice of 1829.
By the late 1840s the advertisements for Finedon dried apples begin to disappear from the newspaper advertising columns, reflecting the state of this local industry. The last known producer of Finedon Dried Apples was Edmund “Berry” Chapman who continued until the early 1880s. Therefore, it quite possible that these local bakers and others placed the name of Finedon on the tables of this country for close to 150 years!
Waterlow Bridge
In very early days Waterlow Bridge was known as “Dough Bridge”. The name changed to Colson Brigg in the first half of the 18th century. It was renamed Waterlow Bridge in 1843, the name which continues to this day.
In 1840 William Jaquest, recorded as a “fruiterer” in the 1847 Northamptonshire Post Office Directory, built a stone house on land that was known as Jaquest Orchard. The house was to become a bakehouse. It was occupied by the baker Thomas Butlin from 1854 to 1873, succeeded by his widow Jane.
The business was then sold on to Jane’s son-in-law, George Hasledine and subsequently transferred to a J A Saunders who was occupying the premises in 1911 when the photograph below was taken. The bakehouse was demolished in 1960.

J A Sanders Bakery
High Street
Known as Warner’s bakehouse from only the 1890’s, until its demolition in the 1960s, this building had possibly the longest history of any bakehouse in Finedon.
The late John Bailey in his book, “Finedon Otherwise Thingdon” (1975) records “As far back at 1739 there was a bakehouse and yard on this site called, Spring Gardens”.
In 1806 Dorothy Parker owned the building. Followed by Thomas Barker in 1837 with Benjamin Chapman being the tenant baker. His son Edmund Berry Chapman continued the business. It is know that they prepared dried apples from the trees at the rear of the premises. Edmund Berry Chapman, who is thought to have been the last producer of Finedon Dried Apples, died in 1894. The business was taken over by John Warner. The Warner family continued to run the business until the buildings were demolished with John Warner’s grandson, Mr J Charles Warner, being the last in the line of Finedon bakers who worked at this bakehouse.

Warner’s Bakery
Built in the eighteenth century this bakehouse was recorded as being owned by Benjamin Sharp in 1806.
William Sharp, listed as baker and a farmer in the 1847 Northamptonshire Post Office Directory, was a later owner. However, by 1851 Samuel Stanton had taken over the business.
The Stanton family carried on the business until 1874 when it was sold to a Thomas Partridge. The Partridge family continued the business into the 1900s.
The bakehouse, centre of the photograph below, with Bird Cage Place and the entry to Stanton’s Yard to the left. c1905
